MORGANO.
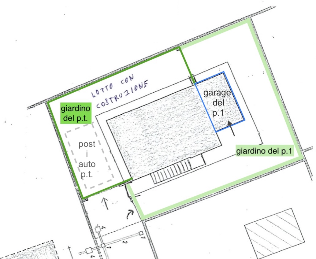
Appartamento completamente indipendente posto al piano terra di una villetta singola.
Composto da: soggiorno, cucina abitabile, disimpegno, bagno, 2 camere matrimoniali, lavanderia-C.T. e giardino di proprietà con posti auto (no garage).
Venduti allo stato grezzo avanzato in cui si trova.
Zona tranquilla per chi ama la campagna, ma a prossimità dal centro di Badoere ma anche da Quinto di Treviso e Zero Branco.
Euro 150.000














