MORGANO.
Soluzione completamente indipendente con più giardino di una villetta!
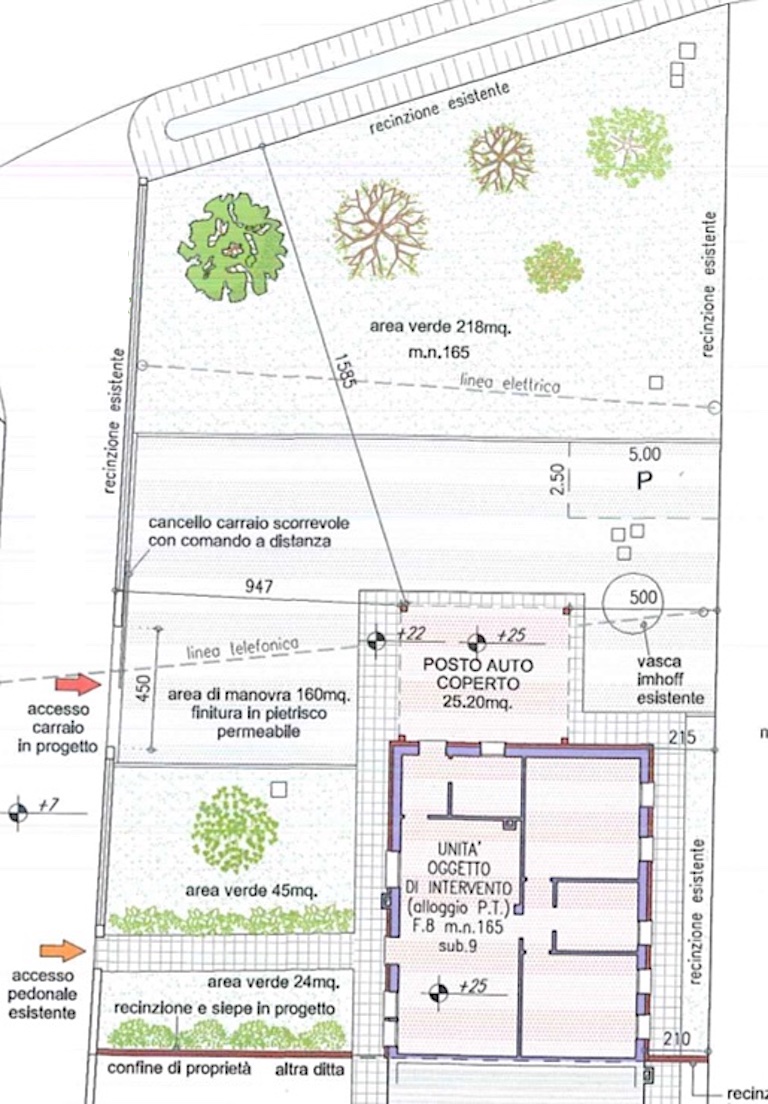
La sua autonomia, la sua metratura e lo scoperto di quasi 500 mq rendono questo appartamento unico nel suo genere.
Composto da: ampio soggiorno-pranzo open space, due camere matrimoniali, due bagni, secondo ingresso e pompeiana usufruibile come posto auto coperto o come terrazza.
Compresi nel prezzo: parziale arredamento, camino, sauna ad infrarossi, aria condizionata reversibile con doppio split, sistema di video sorveglianza, zanzariere e barbecue.
Euro 240.000






















